トップページ > 茅ヶ崎市南湖5丁目 

販売物件情報

  • お気に入りリストを見る
  • 物件情報を印刷する
  • プリンタの設定で「背景を印刷する」と設定しないと「背景画像」が印刷されないことがあります。印刷の際には、必ず「背景を印刷する」設定にしてください。

新築一戸建て

茅ヶ崎市南湖5丁目 

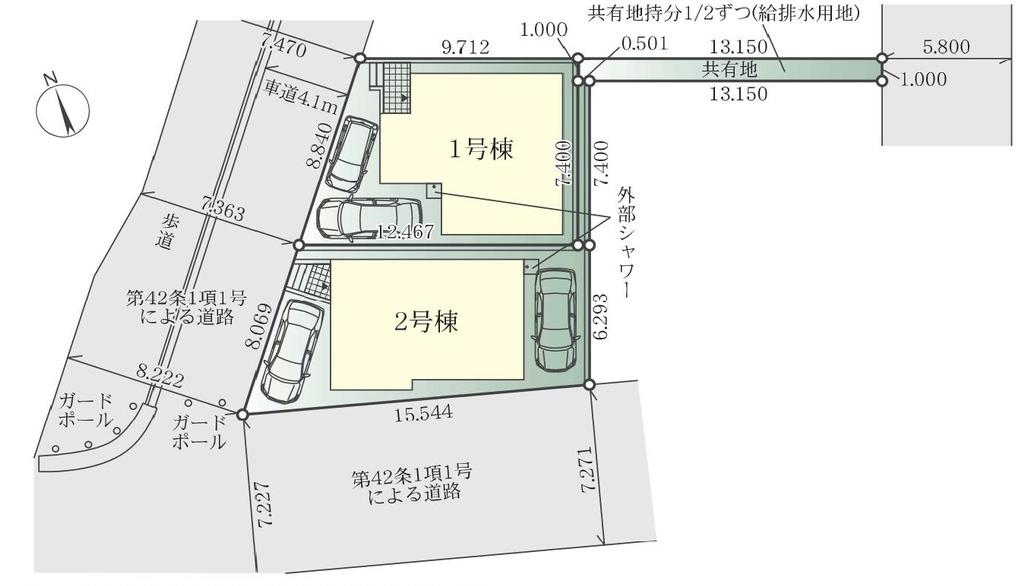
画像

この物件のお支払い例

頭金0円/ボーナス払い0円

物件価格5,799万円

月々の支払い153,093

※上記支払例の借入条件:金利0.6%、借入総額5,799万円、借入期間35年

所在地・交通

所在地 茅ヶ崎市南湖5丁目 
最寄駅 東海道線 茅ケ崎 徒歩分数
最寄バス停 神奈川中央交通 団地中央 徒歩分数 3分
小学校校区 茅ヶ崎市立西浜小学校 中学校校区 茅ヶ崎市立西浜中学校

※学校区は住所から自動判定したものであり、保証できる情報ではございません。正確な学校区はお問い合わせ下さい。

お問い合わせフォームはこちら

「人型アイコン」を地図上にドラッグすることで『Google Street View』に切り替わります。

※地図上の「対象地」は「日本、〒253-0061 神奈川県茅ヶ崎市南湖5丁目」の場所を指しています。実際の場所ではない場合がございます。詳しくはお問い合わせください。

お問い合わせフォームはこちら

物件概要

価格 5,799万円 種目 新築一戸建住宅
間取り 4LDK 間取り内訳
土地面積 102.16㎡ 私道面積
建物面積 102.67㎡ 建物構造規模 木造 2階建
築年月(竣工月) 2025年11月 駐車場 有 
建ぺい率/容積率 60%/200% 都市計画 市街化区域
接道状況 南西7.2m 公道  北西7.3m 公道   角地
地目 宅地
土地権利 所有権 地勢
用途地域 第一種中高層住居専用地域
現況 未完成 取引態様 媒介
建築確認番号 第25UDI1W建03312号

取引条件等

引渡し 相談

その他

設備 公営管・本下水・都市ガス・宅内浸透
特徴
諸条件・相談 共有地/持分2分の1ずつ(給排水用地) 道路/北東側幅員約5.8m(1項1号)
情報登録日 2025年8月27日 情報更新予定日 2025年12月29日
物件番号 149570
この物件を見た人の多くは下記の物件も見ています!
茅ヶ崎市東海岸南2丁目  [4,990万円] [1LDK]
茅ヶ崎市東海岸北5丁目  [5,999万円] [2SLDK]
茅ヶ崎市柳島2丁目  [4,180万円] [3SLDK]
茅ヶ崎市柳島海岸  [6,340万円] [3LDK]
最近見た物件

ページの先頭へ

住宅購入の相談がしたい方へ!相談・見積もりは無料!今ならQUOカード最大1,000円分プレゼント!今すぐ来店予約!

Copyright (C) e・ミライフ, All Rights Reserved.